Another day underwater. (as it should be)
We made it on 3 dives.





Margate Bay: This site sometimes has rough waves when the wind is up. Today was calm so we headed over. This is a nice reef with nearly solid coral coverage. There are a decent number of fish, including the black margate for which it is named. These fish are pretty big and shiny silver. We saw one today. There are often turtles here, but we didn’t see any today.





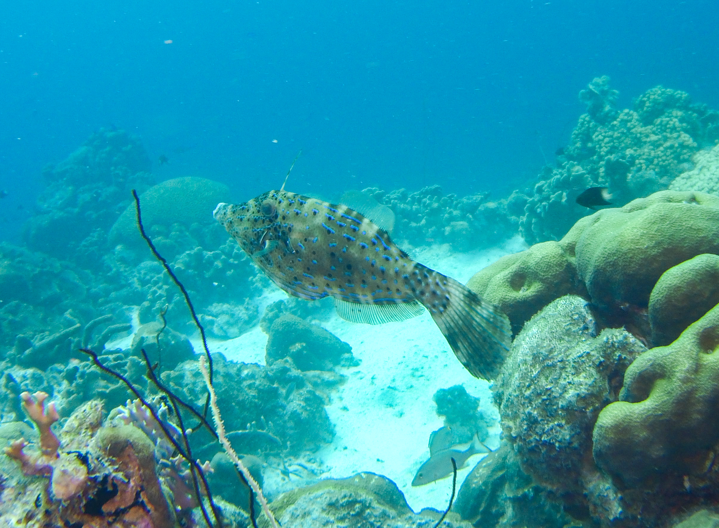
Angel City: Another site near our condo. It has a pretty easy entry and a nice double reef. There were quite a few juvenile fish of various types. We saw a barracuda (which swam by Emily and Mark) and a couple of porcupinefish.





Bachelor’s Beach: This is another site whose entry was washed away by the hurricane. It still is a pretty easy water entry…but the staircase doesn’t quite make it down to the beach like it used to. There were tons of fairy basslets (which are tiny fish that are bright purple and yellow) and dusky damselfish. Another consistently nice dive site.






We did other exciting things today like grocery shopping and some laundry. We did go out for dinner and gelato (both good).














